Záznam rejstříku NNM

Popis nabídky

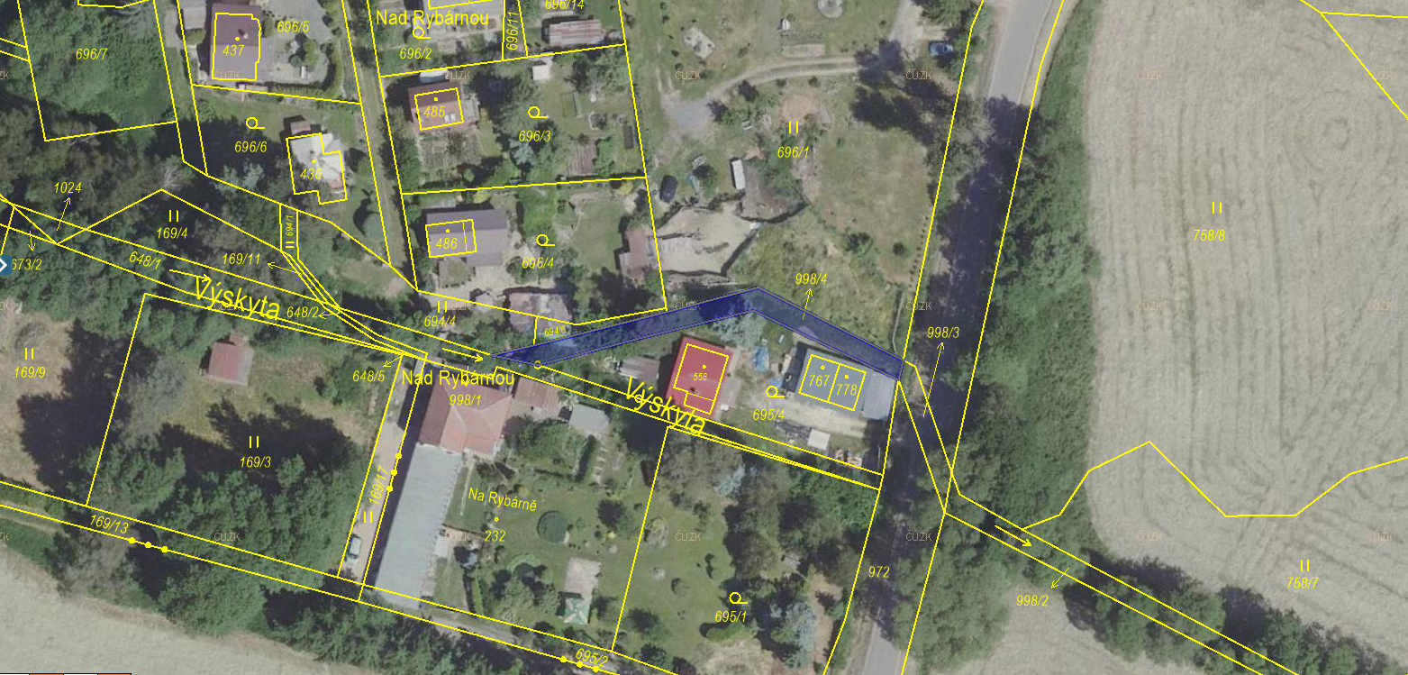
Prodej pozemku p.č.998/4 v k.ú. a obci Družec

Atributy nabídky

Zakladatel

Ministerstvo zemědělství ČR

Platnost do

2022-05-20

Telefon

720523924

E-mail

ruzena.lahovska@lesycr.cz

Osoba

Lahovská Růžena

Útvar

Lesy ČR, s.p., Oblastní ředitelství severní Čechy

Katastrální území

Družec, Družec, okres Kladno

Parcelní číslo

998/4

Pozemek

ano

Budova

ne

Jednotka

ne

Jiná nemovitost

ne

Popis položky

Pozemek v druhu ostatní plocha, způsob využití jiná plocha, úzký pruh pozemku o šíři cca 2,5 - 3,5 m a délky cca 60 m. Dle sdělení Krajského úřadu pro Středočeský kraj a znaleckého posudku tvoří funkční celek se stavbou č.ev. 228 v k.ú. Družec.

Požadovaná cena

100500


Přílohy